Tute SMS M01 2.5m Archive
Jump to navigation
Jump to search
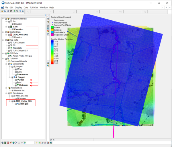
- Duplicate the TUFLOW Grid Map dataset. Rename the new dataset "TUFLOW grid 2.5m"

- Select Feature Objects >> Map -> 2D Grid. This will bring up the Map >> 2D Grid dialog. Set the Cell size to 2.5m and elevation data source to "Scatter set".

- The new Cartesian grid should now display with the 2.5m cells. Rename the grid "2.5m"

- Create a new TUFLOW 2D Geometry Component. Name it "2.5m geo"

- Drag the 2.5m geo, BC and Materials datasets into the "2.5m geo" 2D Geometry Component.
- Duplicate the simulation M01_5m_002 and rename the duplicate, M01_2p5m_003. Associate the "2.5m geo" 2D Geometry Component with simulation M01_2p5m_003.

- Use the 2D Model Controls to update the model timestep for the 2.5m resolution model. Set the timestep value to 0.5s.

- Right click the M01_2p5m_003 simulation in the SMS interface and click "Save the Project, Export and Launch TUFLOW".
Return to Tutorial 1.